
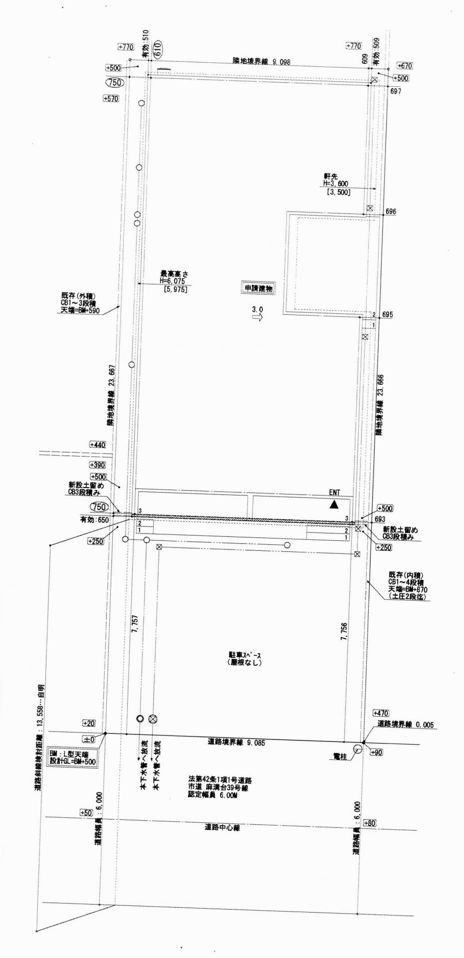
・土地65坪 カースペース並列3台
・南6m道路で陽当り良好
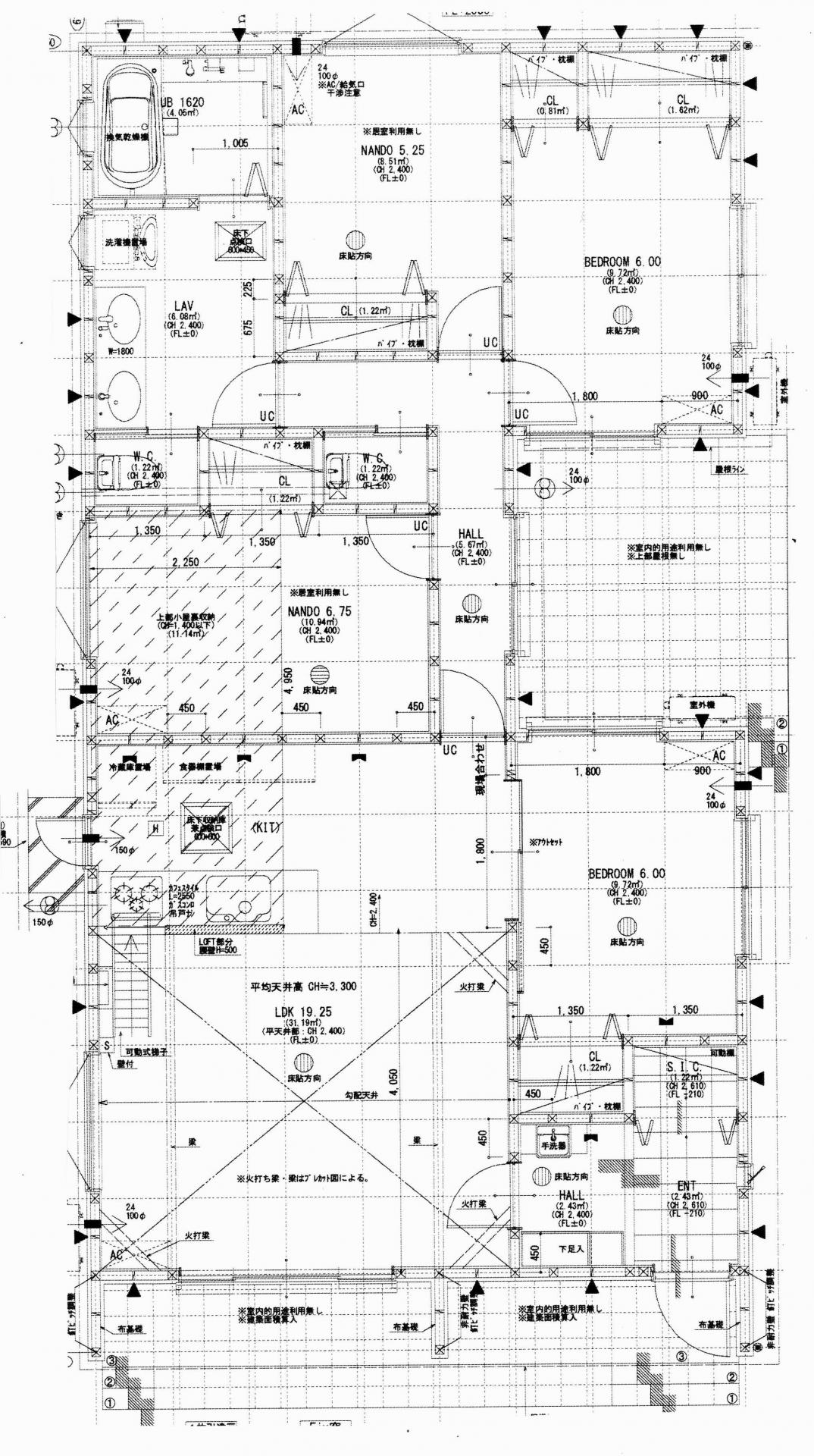
・勾配天井で開放感のあるリビングダイニングは19.25帖
・住みたかった平家の4LDKタイプ プライベートパティオあり
・洗面はダブルボウル、浴室は大きめの1.25坪仕様
物件種目 | 新築戸建て | 価格 | 4,980万円 |
物件名 | 麻溝台6丁目 平家の4LDK 2025年10月完成予定 | ||
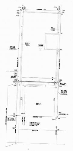
所在地 | 相模原市南区麻溝台6丁目 | ||
交通 | 小田急小田原線「小田急相模原」バス17分 「麻溝台中学校入口」停歩4分 | ||
取引態様 | 媒介 | 販売棟数 | 全1棟/今回販売1棟 |
土地面積 | 215.15m2 | 建物面積 | 100.44m2 |
間取り | 4LDK | 建物構造 | 木造 |
建物規模 | 1階建て | 築年月 | 2025年10月 入居予定 |
建築確認番号 | 第KBI-YKH25-10-0351号 | 接道状況 | 一方 |
接道 | 南側に幅員6mの公道に9m接道 | 土地権利 | 所有権 |
都市計画 | 市街化調整区域 | 地勢 | 平坦 |
用途地域 | 無指定地域 | 地目 | 宅地 |
引渡時期 | 相談 | ||
お問い合わせ番号 |
1333 ※お問い合わせの際にこちらの番号をお伝えください |
※1 ボーナス返済月の加算額ではありません。お借入予定額の50%以下をご入力ください。
※2 初期値で選択されている金利は、一般的な金融機関の変動金利を元にした目安値です。
※シミュレーションでの結果は、あくまでも目安で、概算になります。実際にローン契約をする際は、詳細を金融機関にご確認下さい。
※実際のローン契約時には諸費用・税金(手数料や印紙税、保証料など)が別途かかりますので、契約の際にご確認ください。
※シミュレーションを利用し、それが原因で利用者が受けたいかなる損害についても当社は一切責任を負いません。
あらかじめご了承ください。